|
|
|
OBWIESZCZENIE O PIERWSZEJ LICYTACJI NIERUCHOMOŚCI |
|
|
|
Komornik Sądowy przy Sądzie Rejonowym w Wołowie Mateusz Dziędzioła podaje do publicznej wiadomości, że dnia |
|
|
|
15 stycznia 2021 r. o godz. 10:00 |
|
|
|
w budynku Sądu Rejonowego w Wołowie, to jest w Wołowie przy ul. M. Reja 11, w sali nr 15, odbędzie się |
|
|
|
PIERWSZA LICYTACJA |
|
|
|
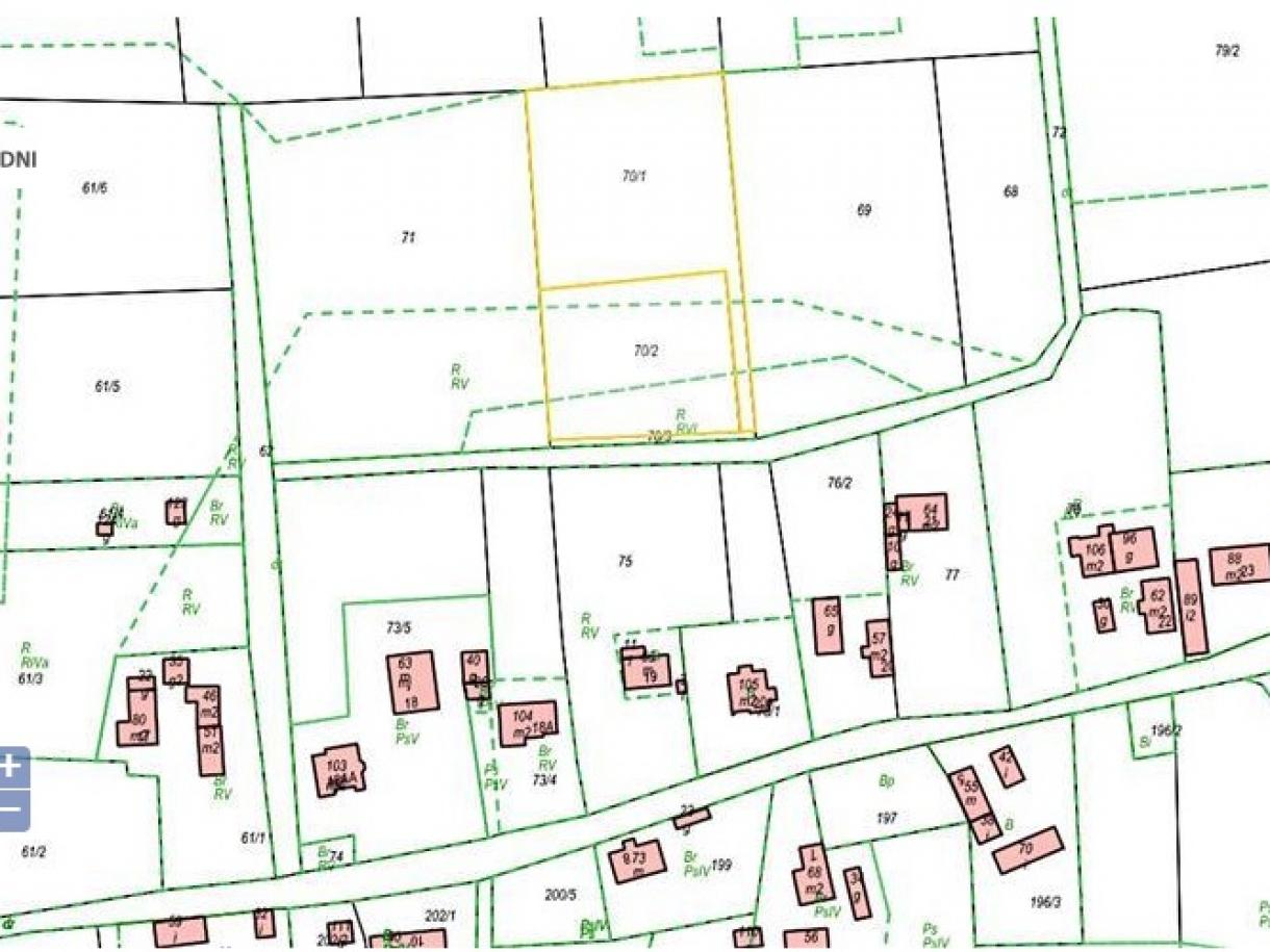
nieruchomości gruntowej niezabudowanej, położonej w miejscowości Miłcz, gmina Wołów, dla której Sąd Rejonowy w Wołowie, IV Wydział Ksiąg Wieczystych prowadzi księgę wieczystą o numerze WR1L/00044969/1, stanowiącej własność dłużnika (…). |
|
|
|
Nieruchomość oznaczona jest geodezyjnie jako działki nr: 70/1 oraz 70/2, arkusz mapy 1, obręb Miłcz, jednostka ewidencyjna Wołów – obszar wiejski. Działki do siebie przylegają a ich łączna powierzchnia wynosi 0,4788 ha. Nieruchomość zlokalizowana jest w centralnej części wsi, w odległości około 80m od głównej drogi przebiegającej przez miejscowość. Najbliższe otoczenie działek stanowią tereny mieszkaniowe oraz obszary niezabudowane (głównie grunty uprawiane rolniczo). Nieruchomość (w tym odrębnie działka nr 70/1 oraz 70/2) posiada bezpośredni dostęp do drogi publicznej i ma kształt zbliżony do prostokąta. W odległości około 70-80 metrów, w działce nr 62 przebiega zewnętrzna sieć wodociągowa i elektryczna. Na dzień oględzin obie działki były nieuprawiane i głównie porośnięte przez samosiejki. |
|
|
|
|
|
|
|
Suma oszacowania wynosi 56 900,00 zł, zaś cena wywołania jest równa 3/4 sumy oszacowania i wynosi 42 675,00 zł. Dłużnikowi nie przysługiwało prawo do odliczenia podatku VAT przy nabyciu nieruchomości. |
|
|
|
Nieruchomość można oglądać w ciągu 2 tygodni bezpośrednio poprzedzających licytację, po wcześniejszym uzgodnieniu terminu z Komornikiem. Operat szacunkowy nieruchomości znajduje się do wglądu w siedzibie kancelarii komornika (dane teleadresowe w lewym górnym roku obwieszczenia). |
|
Przystępujący do przetargu obowiązany jest złożyć rękojmię w wysokości 1/10 części sumy oszacowania, to jest kwotę 5 690,00 zł. Rękojmię należy wpłacić na konto komornika w Santander Bank Polska S.A. o numerze: 15 10902499 0000 0001 4160 2283 najpóźniej w dniu poprzedzającym licytację. W przypadku przelewu na konto, za termin złożenia rękojmi uważa się moment wpływu środków na konto bankowe Komornika. |
|
|
|
Pouczenie: |
|
2/ Prawa osób trzecich nie będą przeszkodą do licytacji i przysądzenia własności na rzecz nabywcy bez zastrzeżeń, jeżeli osoby te przed rozpoczęciem przetargu nie złożą dowodu, że wniosły powództwo o zwolnienie nieruchomości lub przedmiotów razem z nią zajętych od egzekucji i uzyskały w tym zakresie orzeczenie wstrzymujące egzekucję. |
|
3/ Użytkowanie, służebności i prawa dożywotnika, jeżeli nie są ujawnione w księdze wieczystej lub przez złożenie dokumentu do zbioru dokumentów i nie zostaną zgłoszone najpóźniej na trzy dni przed rozpoczęciem licytacji, nie będą uwzględnione w dalszym toku egzekucji i wygasną z chwilą uprawomocnienia się postanowienia o przysądzeniu własności. |
|
4/ Pełnomocnictwo do udziału w przetargu powinno być stwierdzone dokumentem z podpisem urzędowo poświadczonym. Podpisy na pełnomocnictwa udzielonych przez państwowe jednostki organizacyjne lub jednostki organizacyjne samorządu terytorialnego oraz na pełnomocnictwach udzielonych adwokatom lub radcom prawnym nie wymagają poświadczenia. |
|
5/ Rękojmia może być złożona również w książeczce oszczędnościowej zaopatrzonej w upoważnienie właściciela książeczki do wypłaty całego wkładu stosownie do prawomocnego postanowienia sądu o utracie rękojmi. |
tel. (71) 34 00 855
fax (71) 34 00 851
email: biuro@dawro.pl
